Bauleitplanung der Gemeinde Hüttenberg, Ortsteil Rechtenbach
Bebauungsplan „Dollenstück IV“
sowie Änderung des Flächennutzungsplanes in diesem Bereich
Bekanntmachung des Aufstellungsbeschlusses gemäß § 2 Abs. 1 BauGB und der frühzeitigen Beteiligung der Öffentlichkeit gemäß § 3 Abs. 1 BauGB
(1) Die Gemeindevertretung der Gemeinde Hüttenberg hat am 27.10.2025 gemäß § 2 Abs. 1 Baugesetzbuch (BauGB) die Aufstellung des Bebauungsplanes „Dollenstück IV“ im Ortsteil Rechtenbach im zweistufigen Regelverfahren sowie die Änderung des Flächennutzungsplanes in diesem Bereich beschlossen.
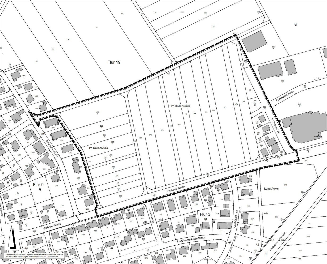
(2) Der räumliche Geltungsbereich liegt am nordöstlichen Ortsrand Rechtenbachs, nördlich der Gießener Straße und östlich der Ostpreußenstraße. Der räumliche Geltungsbereich beinhaltet die Flurstücke 156/14, 156/15, 156/23, 156/26, 156/27, 156/32, 156/33, 165/2tlw., 166/2, 166/3, 167/2tlw.,167/4, 167/5, 168, 169 – 181, 182/1, 183/1, 183/2, 184/1, 185/1, 186/1, 188/1, 189/1, 190/1, 191/1, 192/1 in der Flur 19 sowie Flurstück 296 in der Flur 9, alle Gemarkung Großrechtenbach.
(3) Mit der Aufstellung des Bebauungsplanes sollen die bauplanungsrechtlichen Voraussetzungen für ein Wohngebiet in Ergänzung von Seniorenwohnen, einem Ärztehaus und optional verschiedenen Büroräumen für verschiedene Dienstleistungsunternehmen geschaffen werden. Ziel des Bebauungsplanes ist folglich die Ausweisung eines Allgemeinen Wohngebietes i.S.d. § 4 BauNVO und eines Urbanen Gebietes i.S.d. § 6a BauNVO. Ergänzt werden die Nutzungen durch Ausweisungen von öffentlichen Grünflächen mit der Zweckbestimmung Parkanlage und Spielplatz. Die Erschließung erfolgt ausgehend der südlich verlaufenden Gießener Straße sowie im östlichen Teil im Anschluss an die Straßen Budweisgraben / Im Dollenstück.
Die Planziele gelten analog für die Änderung des Flächennutzungsplanes.
(4) Der Aufstellungsbeschluss für den Bebauungsplan und die Flächennutzungsplanänderung wird hiermit gemäß § 2 Abs.1 Satz 2 BauGB ortsüblich bekannt gemacht.
(5) Gemäß § 2 Abs. 4 und § 2a BauGB wird eine Umweltprüfung für die Bauleitplanverfahren durchgeführt, in der die voraussichtlich erheblichen Umwelteinwirkungen ermittelt und in einem Umweltbericht beschrieben und bewertet werden. Die Unterrichtung der Öffentlichkeit gemäß § 3 Abs. 1 BauGB erfolgt gemäß den Vorgaben des BauGB (Baugesetzbuch) und dient im Hinblick auf die Ermittlung des erforderlichen Umfangs und Detaillierungsgrades der Umweltprüfung nach § 2 Abs. 4 BauGB.
(6) In Ausführung des § 3 Abs. 1 BauGB (frühzeitige Beteiligung der Öffentlichkeit) werden die Planunterlagen des Bebauungsplanes und der FNP-Änderung (einschließlich Begründungen, Umweltbericht und Artenschutzrechtlicher Ergebnisbericht) in der Zeit vom
18.12.2025 – 30.01.2026 einschließlich
im Internet unter der Adresse https://huettenberg.de/bauen/bebauungsplaene/ veröffentlicht und können ebenfalls über das zentrale Internetportal des Landes Hessen unter https://bauleitplanung.hessen.de/ eingesehen werden. Ergänzend zur Veröffentlichung im Internet erfolgt eine öffentliche Auslegung der oben genannten Unterlagen in der Hauptverwaltung im Ortsteil Rechtenbach, Frankfurter Str. 49-51, 35625 Hüttenberg, Bauabteilung. Die Einsichtnahme ist während der Dienststunden der Verwaltung und nach Vereinbarung möglich.
Während der oben genannten Dauer der Veröffentlichungsfrist können Stellungnahmen abgegeben werden. Es wird darauf hingewiesen, dass Stellungnahmen elektronisch übermittelt werden sollen, bei Bedarf aber auch auf anderem Weg, zum Beispiel schriftlich, in Textform oder zur Niederschrift, ab-gegeben werden können. Die elektronische Abgabe der Stellungnahmen ist zum Beispiel unter der E-Mail-Adresse beteiligung@fischer-plan.de möglich.
(7) Gemäß § 4b BauGB ist das Planungsbüro Fischer aus 35435 Wettenberg mit der Durchführung des Verfahrens nach BauGB beauftragt.
Bauleitplanung der Gemeinde Hüttenberg, Ortsteil Rechtenbach
Bebauungsplan „Dollenstück IV“
sowie Änderung des Flächennutzungsplanes in diesem Bereich
Übersichtskarte

Genordet, ohne Maßstab